Total Kakerlakkbekjempelse - Eliminerer Infestasjon Fullstendig

Grundig kakerlakk-eliminering med gel-agn, sprøyting og miljømodifikasjon for restaurants og boliger

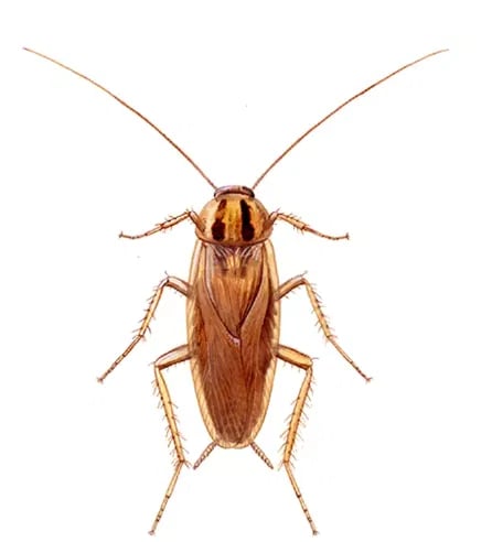
Kakerlakk - Tysk og Amerikansk Kakerlakk

Kakerlakkbekjempelse Oslo og Viken er kritisk for hygiene og helse i restauranter, hoteller og boliger. Tysk kakerlakk (Blattella germanica) og amerikansk kakerlakk (Periplaneta americana) er de vanligste artene. De sprer bakterier, virus og parasitter, og kan forårsake alvorlige astmaanfall hos sensitive personer.

Våre sertifiserte kakerlakkeksperter i Østfold og Buskerud bruker integrerte behandlingsmetoder med gel-agn, residualsprøyting og støvbehandling. Vi fokuserer på skjulesteder som sprekker, hulrom og fuktige områder for å sikre total eliminering av kakerlakkpopulasjoner.

Diskret Kakerlakkhjelp: 40 88 65 91
Kakerlakk

Kakerlakkfakta

Levetid
6-12 måneder
Reproduksjon
30-40 egg per eggkapsel
Aktivitet
Nattaktive
Resistens
Meget motstandsdyktige

Kakerlakk Arter i Norge

Identifikasjon av de vanligste kakerlakk-artene og deres spesifikke egenskaper

Tysk kakerlakk

Tysk Kakerlakk (Blattella germanica)

Den vanligste kakerlakk-arten i Norge, spesielt i restauranter, hoteller og boliger. Tysk kakerlakk er liten men ekstremt fruktbar og kan skape store infestasjonsproblemer på kort tid.

Karakteristikk:

Størrelse: 10-15 mm
Farge: Lysebrun til gulbrun
Kjennetegn: To mørke striper på pronotum
Levetid: 3-5 måneder
Reproduksjon: 30-40 egg per eggkapsel
Habitat: Varme, fuktige kjøkkenområder
Spesielle utfordringer:
  • • Rask reproduksjon - kan doble populasjonen på 6 uker
  • • Utvikler resistens mot insekticider raskt
  • • Gjemmer seg i små sprekker og er vanskelige å oppdage
  • • Aktive både dag og natt når populasjonen er stor
Amerikansk kakerlakk

Amerikansk Kakerlakk (Periplaneta americana)

Den største kakerlakk-arten i Norge, ofte kalt "palmettobille". Amerikansk kakerlakk foretrekker varme, fuktige miljøer som kjellere, kloakksystemer og oppvarmede bygninger.

Karakteristikk:

Størrelse: 35-40 mm
Farge: Rødligbrun med gul kant
Kjennetegn: Fullt utviklede vinger, kan fly kort
Levetid: 1-2 år
Reproduksjon: 15-20 egg per eggkapsel
Habitat: Kloakk, kjellere, oppvarmingsrom
Spesielle utfordringer:
  • • Kommer ofte opp gjennom avløpssystemer
  • • Kan fly og bevege seg raskt mellom etasjer
  • • Lever lenge og er svært motstandsdyktige
  • • Foretrekker organisk avfall og fuktige områder
Orientalsk kakerlakk

Orientalsk Kakerlakk (Blatta orientalis)

Også kjent som "vannkakerlakk", er denne arten vanlig i kjellere og fuktige områder. Orientalsk kakerlakk er mørkere i fargen og foretrekker kalde, fuktige miljøer mer enn andre arter.

Karakteristikk:

Størrelse: 20-25 mm
Farge: Mørk brun til svart
Kjennetegn: Kort eller ingen vinger
Levetid: 6-12 måneder
Reproduksjon: 16-18 egg per eggkapsel
Habitat: Kjellere, avløp, fuktige områder
Spesielle utfordringer:
  • • Lever i kalde, fuktige miljøer der andre arter ikke trives
  • • Sprer en karakteristisk ubehagelig lukt
  • • Beveger seg sakte men er ekstremt hardføre
  • • Kan ikke fly, men klatrer godt på ru overflater
Markkakerlakk

Markkakerlakk (Blattella vaga)

En utendørs kakerlakk-art som lever i naturen men kan komme inn i hus, spesielt om høsten. Markkakerlakk er mindre vanlig innendørs, men kan bli et problem i hager og nær bygninger.

Karakteristikk:

Størrelse: 12-16 mm
Farge: Lys til mørk brun
Kjennetegn: Aktive om dagen, lever utendørs
Levetid: 3-6 måneder
Reproduksjon: 20-30 egg per eggkapsel
Habitat: Hager, mulch, løvhauger, utendørs
Spesielle utfordringer:
  • • Lever primært utendørs og søker inn om høsten
  • • Tiltrekkes av lys og kan fly inn gjennom åpne vinduer
  • • Trives i kompost, mulch og organisk materiale
  • • Kan bli et problem i hager og på terrasser

Hvordan Identifisere Kakerlakk-art

Tysk Kakerlakk

10-15mm
Lysebrun med to mørke striper
Vanligst i kjøkken

Amerikansk Kakerlakk

35-40mm
Rødligbrun, kan fly
Kloakk og kjellere

Orientalsk Kakerlakk

20-25mm
Mørk brun til svart
Fuktige kjellere

Markkakerlakk

12-16mm
Lys til mørk brun
Utendørs, hager

Usikker på arten? Ring oss for gratis identifikasjon og risikovurdering!